|
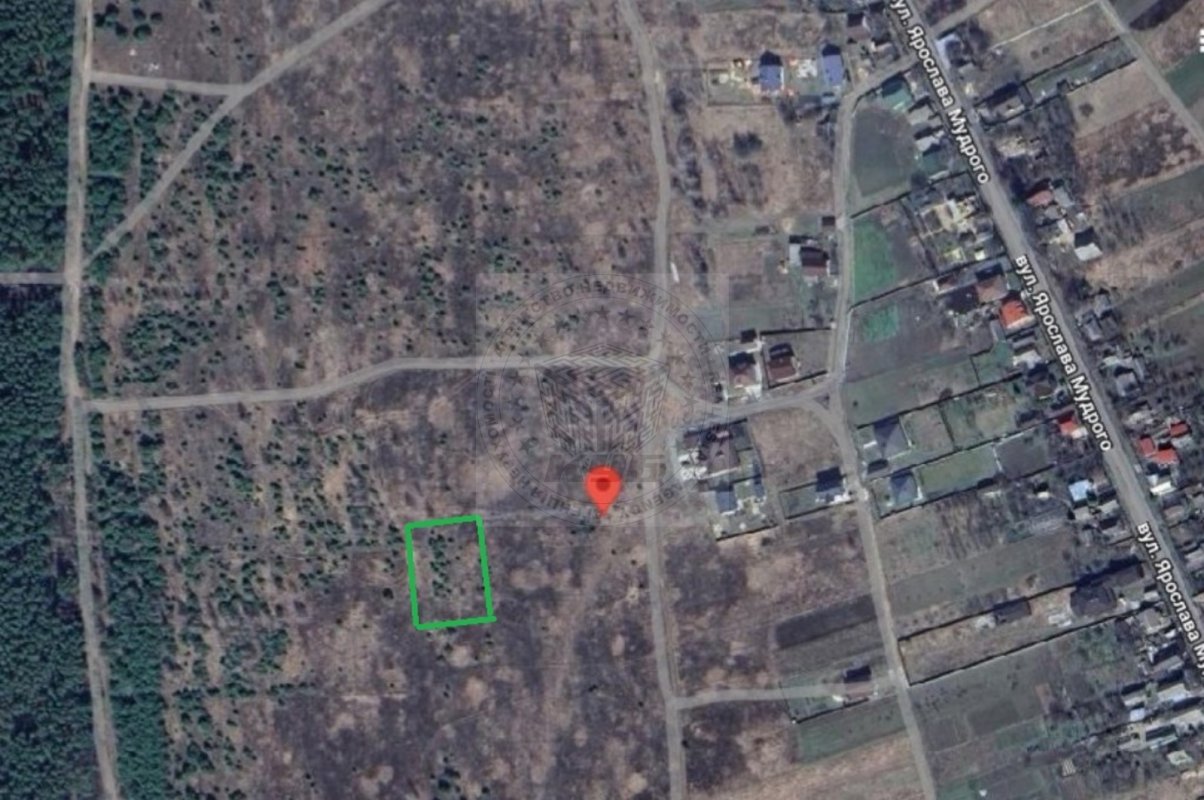
Площа13 сот.
Ділянка, 13 сот, ІЖЗ, с. БлиставицяПродам ділянку, с. Блиставиця, вул. Космічна, 6, Бучанський район (Бородянський)
Площа: 13 соток Призначення: для будівництва і обслуговування житлового будинку.
Форма ділянки прямокутна, релєф рівний. По фасаду 31м, боковина – 41 м. Дорога: ґрунтова, сусідня - асфальтована.
Поряд жилі будинки. Комунікації: електрика до перехрестя до цієї вулиці. Газ – на сусідній вулиці.
Село Блиставиця знаходиться в зеленій зоні: поряд ліс, є трішечки далі озера. У селі є продуктові магазини, сучасний дитсадок, школа, амбулаторія, приватний медичний центр, пошта. Автомобілем до Академмістечка – 30-35 хв
Чудова пропозиція для заміського будинку, де в затишному родинному колі є відпочинок після робочого дня.
Спеціаліст Світлана Id оголошення698391 Оголошення додано22.04.2024 Оголошення оновлено28.05.2026 Поділитися 11 000 $ Агент: Світлана Савушкіна АН 'АН КУБ' Повідомлення |
|



















